МОСКВА, 6 мая – РИА Новости. Экспедиция Okeanos Explorer начала погружение в самое глубокое место на Земле – Марианскую впадину в Тихом океане. Интернет-пользователи могли следить за этим в трансляции сразу на трех каналах на Youtube, которую организовала Американская администрация океанических и атмосферных исследований (NOAA).
Марианская впадина расположена в нескольких десятках километров к востоку от Марианских островов и архипелага Гуам. Ее глубина в самой низкой части, так называемой впадине Челленджера, — чуть более 11 километров.
За минувшие полвека люди всего четыре раза пытались достичь ее дна – в 1960 году это сделали швейцар Жак Пиккар и американец Дон Уолш, в 1996 году – японский батискаф "Кайко", в 2009 году – его американский "коллега" "Нере", а в 2012 году во впадину Челленджера опустился режиссер Джеймс Камерон в аппарате Deepsea Challenger.
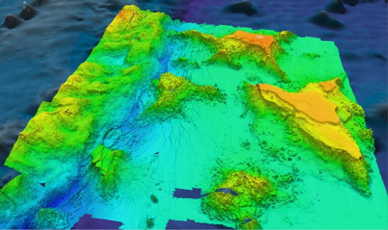
Сейчас экипаж Okeanos Explorer изучает относительно "высокие" районы, расположенные на глубине примерно в 4,2 километра в южной части впадины. Ученые собирают пробы воды в окрестностях подводных грязевых вулканов, черных курильщиков и прочих геотермальных источников. Их изучение, как надеются океанологи, поможет понять, какие бактерии там живут и как жизнь могла возникнуть в далеком прошлом Земли.
Помимо многоклеточной и одноклеточной глубоководной жизни, участников экспедиции также интересует то, как работают подводные вулканы, как формируются новые горные породы на дне впадины и как различные бактерии влияют на их формирование. Океанологи планируют, что экспедиция продлится до июля, и за это время радиоуправляемые подводные суда совершат погружения на глубины примерно в шесть километров.


